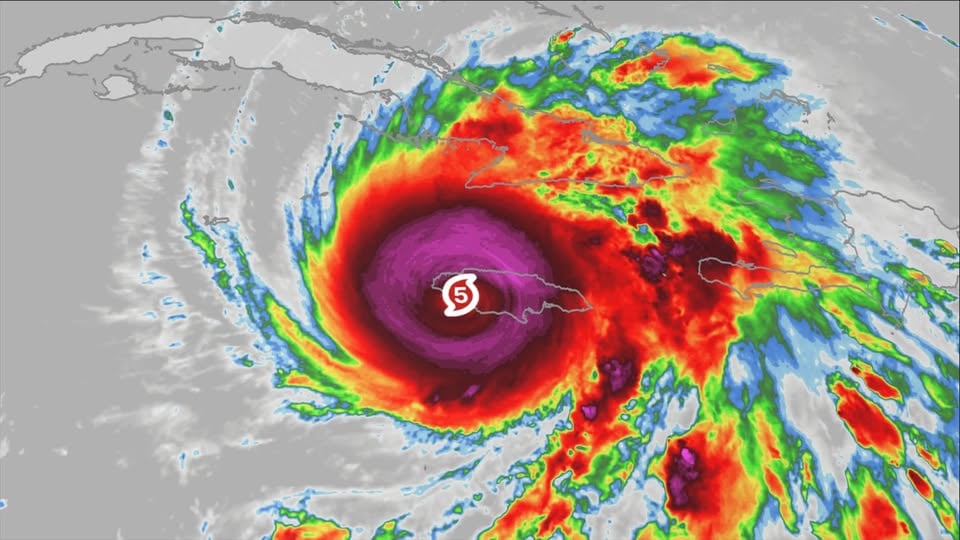
As we reported earlier, Melissa ranks as the most powerful hurricane ever to make a direct strike on Jamaica.
Across the broader Atlantic, however, Melissa stood out for several extraordinary reasons:
It matched the record for the strongest hurricane to make landfall anywhere in the Atlantic basin, with sustained winds reaching 185 mph.
With a central pressure of 892 mb, Melissa also equaled the 1935 Labor Day Hurricane as the most intense landfalling storm on record.
In addition, Hurricane Hunter aircraft — which collect vital data by flying directly into storms — recorded an instantaneous wind gust of 252 mph just above the ocean surface before Melissa made landfall.
For comparison, this reading falls only slightly below the world record for the highest wind gust ever documented in a tropical cyclone: 253 mph, observed during Cyclone Olivia’s impact on Western Australia in April 1996.
