Skip to content
Top Menu
November 4, 2025
  • Home
  • Blog
  • Facebook
  • Twitter
  • Instagram

kkfreshnews.store

  • Home
  • Blog
Main Menu

Uncategorized

A minister dies and is waiting in line at the Pearly Gates

October 30, 2025 - by kkfreshnews - Leave a Comment

A minister dies and is waiting in line at the Pearly Gates A minister dies and is waiting in line at the Pearly Gates. Ahead of him is a man …

A minister dies and is waiting in line at the Pearly Gates Read More

Young woman was hospitalized after being penetrated…See more

October 30, 2025 - by kkfreshnews - Leave a Comment

My knuckles were white as I gripped the hospital bed rail. Then tears slipped down my face as my best friend and a nurse held my legs apart, while another …

Young woman was hospitalized after being penetrated…See more Read More

What those strange skin patterns might really mean

October 30, 2025 - by kkfreshnews - Leave a Comment

Livedo reticularis (LR), commonly known as mottled skin, manifests as a purplish, net-like discoloration on the arms or legs. This pattern often results from reduced blood flow near the skin’s …

What those strange skin patterns might really mean Read More

LEGEND LOST Iconic actor has died today after being mauled to death in a shark attack. The video is hard to watch: Check the first comment

October 30, 2025 - by kkfreshnews - Leave a Comment

Sad News: Iconic Actor Tamayo Perry Dies in Tragic Shark Attack Beloved actor Tamayo Perry, 49, tragically passed away today in an apparent shark attack. Emergency Medical Services in Honolulu …

LEGEND LOST Iconic actor has died today after being mauled to death in a shark attack. The video is hard to watch: Check the first comment Read More

Here Are Some Problems That Can Happen If You Don’t Get Proper Sleep

October 30, 2025 - by kkfreshnews - Leave a Comment

What may seem like a single night of passion can evade consequences that stretch far beyond the moment. While many people view casual intimacy as harmless, the reality is often …

Here Are Some Problems That Can Happen If You Don’t Get Proper Sleep Read More

Biker Stopped To Help Girl With A Flat Tire But Caught Something In Car’s Trunk Which Terrified Him

October 30, 2025 - by kkfreshnews - Leave a Comment

I saw the white sedan on the side of Highway 42 at 11 PM, hazards blinking weakly in the darkness. At first, I was going to keep riding—it was late, …

Biker Stopped To Help Girl With A Flat Tire But Caught Something In Car’s Trunk Which Terrified Him Read More

When the Past Finally Spoke

October 30, 2025 - by kkfreshnews - Leave a Comment

A Forgotten Image Resurfaces For decades, the photograph lay untouched—one among millions documenting the grim reality of World War II. At first glance, it appeared to be nothing more than …

When the Past Finally Spoke Read More

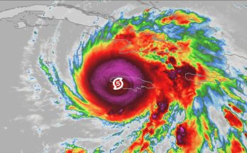
BREAKING NEWS Large Hurricane MELISSA CATEGORY 5 forming… See more

October 30, 2025 - by kkfreshnews - Leave a Comment

As previously reported, Hurricane Melissa has been confirmed as the most powerful storm ever to make a direct landfall on Jamaica, leaving an unprecedented mark in meteorological history. Beyond its catastrophic local impact, …

BREAKING NEWS Large Hurricane MELISSA CATEGORY 5 forming… See more Read More

Don’t look if you can’t handle lt (25 Pics)

October 30, 2025 - by kkfreshnews - Leave a Comment

Appearance style is an integral part of one’s image. It carries a vast amount of information about a woman. Through style, one can infer a woman’s personality, preferences, emotions, intelligence, …

Don’t look if you can’t handle lt (25 Pics) Read More

15 Photos That Will Put Your Brain To The Test Before You Realize What’s Going On….

October 30, 2025 - by kkfreshnews - Leave a Comment

15 Photos That Will Put Your Brain To The Test Before You Realize What’s Going On…. 15 Brain-Confusing Photos That Need to Be Analyzed An everyday object can go from …

15 Photos That Will Put Your Brain To The Test Before You Realize What’s Going On…. Read More

Posts pagination

Previous 1 … 10 11 12 … 61 Next

Search

About This Site

This may be a good place to introduce yourself and your site or include some credits.

  • Popular
  • Comments
  • Tags

Hello world!

August 16, 2025

HT10. Teen Sentenced to 985 Years in Prison — Courtroom Reaction Goes Viral

August 16, 2025

HT10. She was in his cell, waiting to be executed, and he asked as a last…

August 16, 2025

HT10. Justice and Reflection After Wakefield Tragedy: A Case That Sparked a National DialogueHT10. Justice and Reflection After Wakefield Tragedy: A Case That Sparked a National Dialogue

August 16, 2025

Passerby Who Killed Man Attacking Cop Learns His Fate…See more

August 16, 2025

A WordPress Commenter - Hello world!

Hi, this is a comment. To get started with moderating, editing, and deleting comments, please visit the Comments screen in…

No tags created.

Recent Posts

  • 1 week ago 32 The Unexpected Encounter
  • 12-year-old girl brought to hospital with huge belly: What doctors discovered shocked them
  • “SHE TAUGHT ME EVERYTHING” — Keanu Reeves’ Emotional Announcement About His Mother’s Health Has America Holding Its Breath In a rare and deeply personal moment, Keanu Reeves stepped away from the movie spotlight to deliver heartbreaking news about his mother — the woman he’s often called his “greatest teacher.”
  • It breaks our hearts to confirm the news about the great King Charles
  • Farmers finds his pasture empty, then stumbles upon all 32 of his cows dead in a pile

Find Us

Address
123 Main Street
New York, NY 10001

Hours
Monday–Friday: 9:00AM–5:00PM
Saturday & Sunday: 11:00AM–3:00PM

About This Site

This may be a good place to introduce yourself and your site or include some credits.

Recent Posts

  • 1 week ago 32 The Unexpected Encounter
  • 12-year-old girl brought to hospital with huge belly: What doctors discovered shocked them
  • “SHE TAUGHT ME EVERYTHING” — Keanu Reeves’ Emotional Announcement About His Mother’s Health Has America Holding Its Breath In a rare and deeply personal moment, Keanu Reeves stepped away from the movie spotlight to deliver heartbreaking news about his mother — the woman he’s often called his “greatest teacher.”
  • It breaks our hearts to confirm the news about the great King Charles
  • Farmers finds his pasture empty, then stumbles upon all 32 of his cows dead in a pile

Search

Copyright © 2025 kkfreshnews.store.
Powered by WordPress and HitMag.